|
Breves21
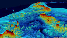
Nuevas imágenes de las profundidades del Océano Pacífico captan la destrucción masiva de sus montañas submarinas 07/12/2011Nuevas imágenes de las profundidades del Océano Pacífico han revelado uno de los más violentos procesos de la Tierra: la destrucción masiva de montañas submarinas. Las imágenes, generadas por sonar en aguas de seis kilómetros de profundidad, muestran cómo la acción tectónica está arrastrando a volcanes gigantescos hacia un abismo del lecho marino. Estos volcanes, que se encuentran alineados a lo largo de varios miles de kilómetros de fondo oceánico, se están moviendo hacia el oeste, a una velocidad de seis centímetros al año. Las extraordinarias escenas de este proceso fueron captadas en la Fosa de Tonga, durante una expedición realizada el pasado verano. Esta Fosa es una falla altamente activa que va desde Nueva Zelanda hasta Tonga, en las Islas Polinesias, y hasta Samoa, al sur del Pacífico. Las imágenes fueron recogidas en el marco de un proyecto en el que han colaborado las universidades de Oxford y de Durham, y que cuenta con fondos del Natural Environment Research Council (NERC) del Reino Unido. Más información Un novedoso mapa revela los territorios secretos de la Antártida 06/12/2011Científicos del Proyecto BEDMAP han producido el mapa más detallado del lecho rocoso de la Antártida realizado hasta la fecha. Este mapa refleja el paisaje que subyace al hielo antártico e incorpora datos recopilados durante décadas por aviones, satélites barcos e, incluso, por personas que recorrieron el continente en trineos arrastrados por perros. El mapa proporciona una perspectiva fascinante del continente: en muchas áreas pueden verse valles y montañas, de la misma forma que los vemos en otras zonas de la Tierra, explican los investigadores. Pero BEDMAP no es sólo una imagen hermosa. Además, aporta información clave para la comprensión de las reacciones de la Antártida ante el calentamiento global, así como para la elaboración de pronósticos al respecto, de cara al futuro. Los científicos han constatado que se están produciendo cambios importantes en los márgenes del continente, y que los volúmenes de hielo caído al océano se están incrementando con el consecuente aumento del nivel del mar. Más información Un nuevo estudio confirma el efecto pernicioso del herbicida atrazina en la reproducción 05/12/2011Según confirma un nuevo estudio internacional, la exposición a una sustancia química usada como herbicida y conocida como atrazina propicia la aparición de trastornos reproductivos en los animales. En la investigación se analizaron indicios de la relación entre la exposición a este herbicida, utilizado en más de sesenta países de todo el mundo, y problemas de fertilidad en mamíferos, anfibios, peces y reptiles. Los científicos revisaron investigaciones previas en las que se había relacionado la exposición a la atrazina con niveles anormales de andrógenos en mamíferos, anfibios, peces y reptiles, además de analizar otros trabajos que relacionaban la exposición a la atrazina con una «feminización» de las gónadas masculinas en diversos animales. Según los resultados, al menos diez de estas investigaciones concluyeron que la exposición a la atrazina ciertamente desencadena la feminización de las ranas macho. En algunos casos, el sexo del animal resulta incluso invertido. Por otro lado, otros estudios han detectado trastornos de la función hormonal y el desarrollo sexual de diversos animales, e incluso en células humanas, por exposición a esta sustancia. En general, los autores del estudio señalan que la atrazina desencadena varias modificaciones, como cambios en la expresión de los genes que participan en la señalización hormonal, interferencias en la metamorfosis e inhibiciones de enzimas clave que regulan la producción de estrógenos y andrógenos, además de tener una repercusión en el desarrollo y en la función reproductiva normal de machos y hembras. Más información Redacción
Explican porqué algunas personas nunca olvidan una cara 05/12/2011Un estudio realizado por científicos de la Universidad Normal de Beijing, en China, ha proporcionado la primera evidencia empírica de que existen desigualdades en la habilidad de las personas para reconocer caras. Según los autores del estudio, los individuos que procesan las imágenes de rostro de manera más holística, esto es, como un todo integrado, son mejores a la hora de reconocer rasgos faciales que los que lo hacen por rasgos aislados. En la vida cotidiana, todos reconocemos caras de manera holística y también de forma “analítica”, es decir, seleccionando partes individuales como los ojos o la nariz. Sin embargo, aunque el cerebro aplica un procesamiento analítico a objetos concretos, como casas, animales o coches, en el caso de los rostros es el procesamiento holístico el que resulta clave para una buena identificación. Para analizar el proceso holístico de procesamiento de caras, los investigadores midieron en primer lugar la capacidad de 337 estudiantes de recordar caras, mediante una tarea en la que éstos tuvieron que seleccionar caras y flores previamente estudiadas, entre otras desconocidas. De esta forma, se comprobó que los estudiantes más capaces de reconocer rostros fueron aquéllos que presentaban mayor capacidad de procesamiento holístico de las imágenes, es decir, aquéllos más capaces de combinar dos partes de dos caras distintas para formar una nueva (“efecto cara-combinada”) y los que tendían a reconocer mejor un aspecto concreto del rostro cuando éste estaba incluido en una cara (“efecto todo-parte”). Los científicos señalan que estos resultados explican porqué hay gente que nunca olvida una cara, mientras que a otras personas les cuesta incluso reconocer a sus familiares o amigos. El hallazgo podría ayudar a desarrollar terapias para individuos que sufren trastornos como la prosopagnosia (ceguera de caras) o el autismo. Más información Los jefes demasiado severos afectan a los matrimonios 02/12/2011Tener un jefe abusivo no sólo provoca problemas en el trabajo sino que, además, puede aumentar las tensiones en el hogar. Un estudio realizado por especialistas de la Universidad de Baylor, en Estados Unidos, ha revelado que el estrés y la tensión ocasionadas por un jefe demasiado severo afectan también a las parejas de los empleados y a sus relaciones matrimoniales y, en consecuencia, a toda la familia. La investigación fue realizada a través de encuestas online, con un total de 280 trabajadores a tiempo completo y sus parejas. El 75% de los empleados analizados fueron hombres y otro 75% tenían hijos que vivían con ellos. La media de edad de los participantes fue de 36 años. Los resultados de las encuestas demostraron que aquellos trabajadores que estaban sometidos a demasiada tensión en sus puestos, se sentían menos motivados o capaces de implicarse en interacciones positivas con sus parejas y otros miembros de la familia. Este hallazgo revela la importancia de identificar tácticas o mecanismos que alivien los efectos del abuso laboral en el entorno familiar de los trabajadores, señalan los científicos. Según ellos: “los empleados deben dar pasos hacia la prevención o la detención del abuso”. Más información Las personas creativas tienden más a hacer trampas 02/12/2011Las personas creativas son más propensas a hacer trampas que las personas menos creativas, señala un estudio realizado por especialistas de la Universidad de Harvard, en Estados Unidos. Según los autores del estudio “una mayor creatividad ayuda a los individuos a resolver tareas difíciles en muchos dominios, pero también puede hacer que se tomen rutas poco éticas en la búsqueda de soluciones a problemas o dificultades”. Los investigadores realizaron una serie de pruebas psicológicas y de mediciones para establecer el grado de creatividad y de inteligencia de un grupo de personas. Posteriormente, a estos mismos participantes se les pidió que realizaran tareas o pruebas de las que podían cobrar más dinero si hacían trampas. Los resultados del experimento demostraron que los voluntarios más creativos fueron significativamente más propicios a hacer trampas para ganar más. Por el contrario, no pudo establecerse ninguna relación entre la inteligencia y la deshonestidad. Los autores de la investigación señalan que, dados los resultados obtenidos, deberían hacerse futuros estudios que determinen si la creatividad puede favorecer otras características, como el egoísmo o el deseo de alcanzar objetivos rápidamente. Más información Los hombres no están todo el día pensando en el sexo, revela un estudio 01/12/2011Puede que los hombres piensen en el sexo más a menudo que las mujeres, pero un nuevo estudio sugiere que no tan a menudo ni de manera tan obsesiva como se creía. La investigación, realizada por especialistas de la Ohio State University de Estados Unidos, se llevó a cabo con 283 estudiantes universitarios, 163 mujeres y 120 hombres, de edades comprendidas entre los 18 y los 25 años. Gracias a ella, se ha acabado con la idea de que los hombres piensan en el sexo cada siete segundos, lo que supondría una media de 8.000 pensamientos sexuales en 16 horas de vigilia. En realidad, la media de veces que los hombres piensan en el sexo al día es mucho menor: de 19 veces. Las mujeres jóvenes que participaron en el estudio pensaban en el sexo una media de 10 veces al día. En cuanto a otras necesidades fisiológicas, los hombres también piensan más que las mujeres en la comida (18 veces al día), y en dormir (11 veces al día). Las mujeres, por su parte, piensan en la comida casi 15 veces al día y en dormir, unas ocho veces y media. Los investigadores señalan que es importante corregir el estereotipo sobre los pensamientos sexuales de los hombres. Según ellos, estos estereotipos pueden hacer pensar a los hombres “que algo va mal en ellos si no piensan tanto en el sexo” como cabría esperar. Más información La depresión puede provocar problemas cardiacos 01/12/2011La depresión podría tener más consecuencias de lo que hasta ahora se creía. Según datos recientes, los individuos que padecen algún trastorno del estado de ánimo serían dos veces más propensos a sufrir un ataque al corazón, en comparación con las personas que no padecen depresión. Un estudio realizado por científicos de la Universidad Concordia, de Canadá, ha revelado que los individuos depresivos presentan una recuperación más lenta después de hacer ejercicio que las personas no deprimidas. La investigación fue llevada a cabo con 886 personas, de una media de edad de 60 años. Aproximadamente, el 5% de ellas fue diagnosticado con depresión severa. Esta constatación sugiere que en los individuos depresivos el sistema biológico del estrés no funciona bien. Por eso, los autores del estudio señalan la importancia de hacer pruebas sobre enfermedades cardiovasculares a los enfermos de depresión severa. Más información Un software que detecta los retoques de las fotos acaba con el mito del cuerpo perfecto 29/11/2011Científicos del Dartmouth College de Canadá han desarrollado un programa informático que clasifica de forma automática las fotos, en función de la cantidad de retoques que éstas hayan sufrido. Según los investigadores, el uso de este sistema por parte de editores de fotografía y anunciantes podría ayudar a reducir las desorbitadas tasas de trastornos alimenticios y dismorfia muscular, una enfermedad que se caracteriza por la preocupación obsesiva por el físico y la distorsión del esquema corporal. Por otro lado, la posibilidad de distinguir de manera exacta la manera en que una imagen ha sido alterada permitiría al público general hacer juicios informados sobre dichas imágenes. El programa consiste en un algoritmo que evalúa ciertas alteraciones geométricas, como el adelgazamiento de las piernas, el ajuste de la simetría facial, la corrección de posturas, etc. Asimismo, el software analiza las manipulaciones fotométricas realizadas a las fotos, destinadas a quitar arrugas, ojeras o manchas de la piel. Los desarrolladores del sistema esperan que éste sirva de incentivo para que publicistas y modelos reduzcan algunas formas extremas de retoque digital muy comunes en nuestros días, y que son el origen de una visión irreal y nociva del cuerpo. Más información La pérdida de biodiversidad marina es más severa y compleja de lo estimado, señala un estudio 29/11/2011La pérdida de biodiversidad marina causada por el cambio climático sería el resultado de una combinación del aumento de temperaturas y de la depredación, y podría ser más severa de lo que hasta ahora se había previsto. Esto es lo que revela un estudio realizado por especialistas de la Universidad de British Columbia, en Canadá, en el que se examinó la respuesta de percebes de costa y de mejillones a los efectos combinados del calentamiento y de la predación, por parte de estrellas de mar. El análisis fue realizado desde la fría costa oeste de la Isla de Vancouver, en Canadá, y hasta las cálidas costas de las Islas de San Juan, en Estados Unidos, donde la temperatura del agua ha aumentado considerablemente en las últimas décadas. Los resultados demostraron que, en los lugares más fríos, los mejillones y los percebes pueden seguir viviendo a niveles más altos, alejados de sus depredadores. Sin embargo, a medida que la temperatura aumenta, estas especies se ven obligadas a descender para ocupar niveles más bajos dentro del agua, lo que las sitúa a la misma altura que las estrellas de mar. Este hecho ha ocasionado la pérdida de un 51% de los yacimientos de los mejillones en general. A nivel local, algunos de los bancos incluso han desaparecido completamente. Este hallazgo demuestra que causas combinadas podrían propiciar una extinción amplia de animales y plantas y que el calentamiento global no tiene efecto sólo en especies aisladas, sino que puede alterar las interacciones entre especies y, por tanto, producir cambios inesperados en los lugares donde las especies pueden vivir, en las estructuras de las comunidades y en la diversidad de éstas, explican los autores del estudio. Más información El calendario maya no habla del fin del mundo en 2012, según expertos 26/11/2011El pensamiento mesiánico de Occidente ha tergiversado la cosmovisión de antiguas civilizaciones como la maya, atribuyendo la supuesta llegada del fin del mundo en 2012 a partir de la cuenta larga del antiguo calendario maya, según explica el Instituto Nacional de Antropología e Historia de México en un comunicado. Así lo señalan los expertos mayas Mario Aliphat y Rafael Cobos, integrantes del Comité Académico de la Mesa Redonda de Palenque, foro académico organizado por el citado Instituto Nacional de Antropología e Historia (INAH-Conaculta), en cuya séptima edición —que se efectuará la semana próxima en Chiapas—, se abrirá una sesión especial para dilucidar sobre Las profecías mayas 2012. “La concepción actual sobre el fin del mundo parte de la cultura judeocristiana, de modo que cuando comenzó a descifrarse la escritura maya y se vio que, entre otros aspectos, refería a fines de ciclos, se hizo una interpretación fácil desde la perspectiva del pensamiento occidental, ligando esto a una visión apocalíptica sobre el fin del mundo”, explicaron los investigadores. De los aproximadamente 15 mil textos glíficos registrados hasta ahora en distintos lugares del área maya, únicamente en dos inscripciones existe la mención del año 2012: el Monumento 6, en Tortuguero, y un fragmento encontrado en Comalcalco, zonas arqueológicas de Tabasco relativamente cercanas entre sí. Como explica el epigrafista Carlos Pallán Gayol, autor de la guía Lo esencial del Calendario Maya (INAH-Editorial Verás), el texto del Monumento 6 de Tortuguero —elaborado en el siglo VII d.C.—, describe lo que ocurrirá cuando culmine el treceavo b’ak’tun, el 23 de diciembre de 2012 d.C., como el “descenso” de un dios o conjunto de deidades llamado(s) B’alu’n Yookte’ K’uh’, que se traduce como “de los Nueve pilares/soportes”. A diferencia de las sociedades modernas —explica el investigador del INAH—, para los antiguos mayas el tiempo no era algo abstracto, estaba conformado por ciclos que a veces eran tan concretos que tenían nombre y se podían personificar mediante retratos de seres animados, por ejemplo, el ciclo de 400 años o b’ak’tun estaba representado como un ave mitológica. Más que una obsesión por el tiempo, los mayas se preocupaban por efectuar rituales que de algún modo garantizaran que el ciclo por venir sería propicio. “Para el caso particular de la mención de 2012 sí se nota cierta insistencia en que, aun en fecha tan distante, se va a conmemorar un determinado ciclo calendárico. Éste ha sido el meollo de la confusión”. Más información Redacción
Nace el Observatorio Sodexo de la Diversidad e Inclusión (OSDI) 25/11/2011Según los resultados de un estudio realizado por el Instituto Europeo para la Gestión de la Diversidad en 2009, sólo el 14% de las empresas en España declaran que sus empleados/as son innovadores. Y el 28% afirma que la puesta en marcha de nuevas ideas no es una actividad asumida por los/as miembros de su plantilla. Estos datos reflejan una gran resistencia al cambio y un alto coste por pérdida de eficacia así como el riesgo de pérdida de oportunidad de negocio. Esta información es crítica para poder diseñar nuevas estrategias que optimicen el valor la diversidad de las personas en la organización, y su impacto sobre la cuenta de resultados. Sodexo, líder mundial en Soluciones Integrales de Servicio para empresas, promueve junto con el Instituto Europeo para la Gestión de la Diversidad, el Observatorio Sodexo de la Diversidad e Inclusión (OSDI). El objetivo del Observatorio es el de realizar un análisis continuo sobre las tendencias en el entorno empresarial hacia la gestión e inclusión de la diversidad; e identificar las actividades y acciones que implementan las empresas para potenciar la diversidad y combatir la discriminación como forma de aumentar la innovación y la productividad en las organizaciones. Cualquier ejecutivo puede formar parte de este innovador proyecto participando en el Panel de Tendencias del OSDI. Como Panelista del Observatorio, cada empresa disfrutará de información útil en la toma de decisiones. Al mismo tiempo, tendrá a su disposición una herramienta de autoevaluación que le permitirá conocer las tendencias en materia de gestión de la diversidad e inclusión en el resto de empresas en nuestro país. Cada Panelista del Observatorio, obtendrá al terminar de completar el Panel, un informe consolidado sobre los resultados, al que puede contribuir con sugerencias, comentarios y propuestas de temas de su interés. Más información Redacción
Todos los usuarios de Facebook, a sólo cuatro grados de separación 24/11/2011Según datos de Facebook, entre la mayoría de los usuarios de esta red social hay sólo cuatro grados de separación. Un equipo de investigadores analizó las amistades de 721 millones de usuarios de esta red, que colectivamente habían elegido a 69 mil millones de “amigos” (entre todos). La media de amigos de los usuarios de Facebook es actualmente de 100. Para probar la llamada teoría de los seis grados de separación, los autores del estudio probaron sistemáticamente cuántas conexiones de amigos necesitaban para relacionar a cualesquiera dos usuarios de la red. Globalmente, descubrieron que bastaba con una media de cinco conexiones, lo que significa que la mayoría de parejas de usuarios de Facebook (el 92%) podrían estar conectadas a través de cuatro personas intermediarias. Las conexiones fueron incluso más directas dentro de un mismo país, para las que se necesitaron normalmente sólo tres pasos, incluso en países grandes como Estados Unidos. Más información Redacción
Las aseguradoras necesitan mejorar la diferenciación que ofrecen a sus clientes, según un estudio 24/11/2011El 91% de las aseguradoras considera que el crecimiento futuro dependerá de su capacidad para proporcionar una experiencia especial a sus clientes, diferenciándose de sus competidores. Una gran parte de ellas reconoce no estar preparada actualmente para ofrecer esa diferenciación, según el último estudio de Accenture realizado entre 119 empresas del sector. Según este informe, el 79% de las compañías considera que sus capacidades para proveer servicios homogéneos multicanal están por debajo de las necesidades de sus clientes, incluyendo los servicios que prestan a través de dispositivos móviles. También identifican como crítica la capacidad de adaptar los productos y servicios con la agilidad e innovación requerida por sus clientes. El estudio confirma las oportunidades y tendencias que las compañías esperan obtener de un mejor uso de la información y de las capacidades analíticas, ya que el 78% de las aseguradoras aumentarán sus inversiones en capacidades analíticas en los próximos tres años. Algunos datos obtenidos muestran el nivel de aprovechamiento actual: • El 50% de las compañías aprovecha los datos sobre el estilo de vida de los clientes -como aficiones e intereses- para analizar sus necesidades y expectativas. • Un 37% aprovecha los patrones de consumo, como por ejemplo sus hábitos de conducción y sus necesidades personales. • Un 16% de las aseguradoras utiliza datos externos de redes sociales para complementar la información del cliente disponible a nivel interno. La mayor dificultad identificada por el 95% de las aseguradoras es acceder a datos relevantes de los clientes y a mantenerlos actualizados. Con un nivel de intensidad y consenso comparables al de la analítica de datos, y con un nivel de inversión inferior, el estudio concluye que las compañías consideran la movilidad como la herramienta que permite estar siempre “en la mano de sus clientes”, conscientes del papel que jugarán móviles y tabletas en muchas de las actividades diarias. El 81% de las compañías tienen previsto aumentar sus inversiones en aplicaciones móviles durante los próximos tres años. El 15% de las aseguradoras reconoce proporcionar servicios activados por dispositivos móviles, mientras que más de la mitad (54%) ofrece servicios online en Internet. El 58% tener previsto ofrecer servicios a través de dispositivos móviles durante los próximos tres años. Descargar el estudio Redacción
En 2010, casi el treinta por ciento de los títulos editados por las editoriales universitarias españolas fueron digitales 23/11/2011Las editoriales universitarias españolas publicaron el año pasado 4.443 títulos, el 27,7% de los cuales fueron en formato digital. Estos datos provienen del informe "Las editoriales universitarias en cifras 2011", estudio que realiza la Unión de Editoriales Universitarias Españolas (UNE) cada dos años y que fue presentado el pasado día 18 de noviembre. Aunque la edición universitaria descendió un 6,6% respecto a 2007, las editoriales universitarias publicaron el 5,6% de la producción estatal de libros que, en este mismo período, fue de 79.839 títulos. A pesar de que sólo 17 universidades editaron en formato digital, los libros publicados en este formato supusieron ya el 28,7% del total de la edición universitaria. En 2010, se editaron 1. 275 libros electrónicos, mayoritariamente (el 96%) en pdf. Los títulos que se comercializaron lo hicieron fundamentalmente (el 83,5%) para su lectura en ordenador. En un 65,4%, la venta digital se realizó a través de plataformas creadas por la propia editorial. Más información Redacción
Los chimpancés juegan y se desarrollan como los niños 21/11/2011El juego es un comportamiento muy extendido entre los mamíferos, que se sabe tiene importantes consecuencias para el desarrollo de los individuos. Un estudio reciente sobre chimpancés jóvenes ha demostrado ahora que estos animales juegan y se desarrollan de manera muy similar a los niños. Los resultados de esta investigación, llevada a cabo por científicos de la Universidad de Pisa, en Italia, podrían arrojar luz sobre el papel del juego en el desarrollo humano. Los investigadores descubrieron que el juego solitario de los chimpancés alcanza su máximo en la más tierna infancia, y que el tiempo dedicado a juegos sociales se mantiene relativamente constante entre la infancia y la juventud de los individuos de esta especie. A pesar de esta constancia, los investigadores constataron que, a medida que los chimpancés crecen, sus juegos en sociedad se transforman, en factores como la complejidad o la elección de compañeros. La comparación de estos resultados con los de otros estudios realizados con humanos ha revelado que en ambas especies se da un desarrollo cuantitativo y cualitativo significativo, en lo que al comportamiento lúdico se refiere, entre la infancia y la juventud. Otra coincidencia que fue constatada entre ambas especie fue que tanto los chimpancés como los humanos usan expresiones faciales durante el juego, para comunicarse y para construir sus redes sociales. Según los autores del estudio, ésta sería la primera investigación que compara la ontogenia del comportamiento lúdico de chimpancés con la de los humanos, de una manera estandarizada. Este análisis resulta importante porque los datos sobre el juego humano a menudo proceden de investigaciones psicológicas y no etológicas o referentes al estudio de la conducta de los animales en su medio ambiente. Más información Atravesar una puerta puede fomentar el olvido 21/11/2011Entras en una habitación a hacer “algo” y, una vez dentro, se te olvida lo que querías hacer. Ésta es una situación bastante común, a la que ahora se le ha encontrado una causa: la acción de atravesar puertas. Según un equipo de investigadores de la Universidad de Notre Dame, en Estados Unidos, que han estudiado este fenómeno tan corriente, este tipo de olvidos se debe a que las entradas y las salidas de nuestros hogares sirven para crear en nuestras mentes “fronteras de eventos” que separan unas ideas o intenciones de otras. Para llegar a esta conclusión, los científicos realizaron tres experimentos, en entornos reales y virtuales, en los que los participantes tuvieron que desarrollar tareas de memoria, al mismo tiempo que entraban o salían de habitaciones, atravesando puertas. Según los investigadores, el olvido fue más común cuando los voluntarios tuvieron que hacer las tareas encomendadas atravesando diversas puertas, que cuando los participantes se quedaron desarrollando sus tareas en un sitio fijo. Estos resultados sugieren que las entradas o salidas físicas bloquean la capacidad de pensar o de seguir decisiones tomadas en otra habitación, porque las puertas funcionarían como marcadores fronterizos en nuestra mente, separando episodios de actividad y reforzando la compartimentación de nuestros pensamientos, explican los autores del estudio. Más información Nuevos datos del proyecto OPERA vuelven a señalar que los neutrinos viajan más rápido que la luz 18/11/2011Nuevos datos del proyecto OPERA vuelven a señalar que los neutrinos viajan más rápido que la luz, según un comunicado del Insitut de Physique Nucleaire de Lyon (Francia). Dario Autiero, uno de los artífices del experimento, afirma que a partir de las últimas pruebas, la mayoría de los miembros del equipo que se habían negado a firmar el documento original porque querían más tiempo para esperar nuevos resultados, ya se han sumado a la confirmación. Uno de ellos es Caren Hagner, de la Universidad de Hamburgo, en Alemania. Hagner señala que no sólo ha mejorado la precisión del experimento, sino que su análisis estadístico es más potente, y además ha sido replicado por diferentes grupos dentro de OPERA, y no sólo por el equipo inicial. El pasado mes de septiembre, OPERA hacía públicos los resultados de una serie de mediciones realizadas en el LHC de Ginebra, que señalaban que los neutrinos podían viajar más rápido que la luz. Estos resultados irían en contra de la bien establecida teoría especial de la relatividad de Albert Einstein, que establece la luz como el último límite de velocidad cósmica. Por eso, muchos científicos ajenos al proyecto han sido escépticos con ellos, y reclaman nuevas pruebas independientes, que respalden los resultados obtenidos. El principal candidato para la realización de dichas pruebas sería el acelerador de partículas MINOS, situado cerca de Chicago, en Estados Unidos. En 2007, MINOS detectó una anomalía con los neutrinos similar a la hallada por el LHC el pasado septiembre, pero fue descartada al ser considerada un error. OPERA trabaja con haces de neutrinos producidos por un acelerador de partículas del CERN, cerca de Ginebra. Estos haces viajan unos 730 kilómetros hasta el Gran Sasso, cerca de L'Aquila, Italia. Los encargados del proyecto esperan que estos nuevos resultados acaben con las incertidumbres. Más información Crean un sensor que mide la acidez del ambiente y controla la degradación del patrimonio histórico-artístico 17/11/2011Intentar evitar el proceso de deterioro que sufren los bienes del patrimonio histórico y cultural de nuestro país es el objetivo del proyecto desarrollado por la profesora del Instituto de Historia del Consejo Superior de Investigaciones Científicas (IH-CSIC) de Madrid, María Ángeles Villegas, y que ha sido presentado en el marco del encuentro Cafés Científicos de Expoquimia. María Ángeles Villegas y su equipo han desarrollado un dispositivo capaz de medir el grado de acidez del aire y que sirve para proteger a bienes culturales como cuadros, manuscritos, vidrieras o edificios históricos de la contaminación medioambiental. El aparato consta de unos sensores químicos que reaccionan con los contaminantes y otras partículas del aire, cambiando de color, de tal manera que cualquier usuario puede monitorizar el pH ambiental. Con pH normal, el dispositivo presenta un tono rosado que se torna amarillo en cuanto la acidez aumenta. La señal óptica que registra el aparato se transforma en una señal eléctrica por lo que la información recogida puede ser transmitida y almacenada en un sistema informático. El dispositivo desarrollado por la profesora Villegas y su equipo ha sido testado in situ en el Palacio Rael de Milanów de Varsovia (Polonia) y en la Real Fábrica de Vidrios y Cristales del Real Sitio de San Ildefonso (Segovia). Redacción
Unión Profesional se adhiere a la red de agentes colaboradores del ICO 17/11/2011El presidente del Instituto de Crédito Oficial (ICO), José María Ayala, y el presidente de Unión Profesional, Carlos Carnicer, han suscrito un convenio de colaboración para acercar los productos de financiación del ICO a las organizaciones colegiales, colegios profesionales y colegiados (que puedan disponer de pymes o ser autónomos). Unión Profesional es la asociación estatal que representa a las profesiones colegiadas españolas. Está integrada por treinta y dos Colegios Profesionales y Consejos Generales y Superiores de Colegios Profesionales que, juntos, aglutinan a más de mil colegios profesionales y cerca de millón y medio de profesionales liberales en todo el territorio estatal. Por su estructura tiene un carácter interdisciplinar, puesto que agrupa a profesiones de diversos sectores como el jurídico, el sanitario, el económico, el social, el científico o el técnico. Con este convenio, la asociación, y aquellos Consejos y Colegios que se adhieran a él, pasan a formar parte de la red de agentes colaboradores del ICO. De esta forma, tanto desde Unión Profesional como desde las organizaciones colegiales adheridas se informará y prestará asesoramiento a los colegios profesionales y a los colegiados sobre los programas de financiación directa del Instituto. Actualmente, el Instituto de Crédito Oficial ofrece en su canal de banca minorista la posibilidad a los trabajadores autónomos y a las empresas de solicitar financiación para el desarrollo de proyectos de inversión o para cubrir necesidades de liquidez con ICOdirecto o ICO-SGR. En ambos casos, la tramitación se realiza de forma ágil y sencilla a través de Internet en www.icodirecto.es. Como agentes colaboradores del Instituto, las organizaciones colegiales adheridas asesorarán a colegios profesionales y profesionales colegiados que dispongan de pymes o sean autónomos durante el proceso de solicitud de financiación con ICOdirecto o ICO-SGR. Además, podrán informarse sobre la documentación, especialmente aquella de tipo financiero, que es necesario aportar durante la tramitación de los préstamos. Más información Redacción
|
|
||||||
|
|||||||

Tendencias Científicas













CIENCIA ON LINE